瀬戸市・尾張旭市の不動産のことならトリトンにお任せください

応援します! 安心の不動産探し
トリトンの住宅販売
0561-89-5076
営業時間 10:00~18:00 / 定休日 水曜日
瀬戸市追分町37番地の3(瀬戸市役所すぐ横)
友だち追加

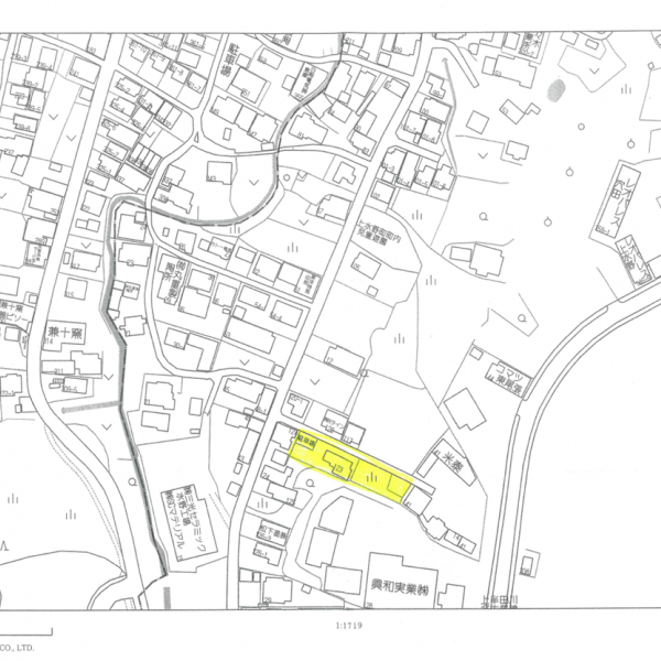
売買 売地 - 上水野町 売地

販売価格
700万円
間取り・築年数
その他諸経費
住所・交通・学区
瀬戸市エリア
愛知県 瀬戸市上水野町 売地
学区:水野小学校・水野中学校
愛知環状鉄道 中水野駅 徒歩26分

ページトップへ

物件ID:2288

上水道

電気

地目
宅地
都市計画
市街化区域
取引態様
専属専任
用途地域
準工業
引き渡し
相談
最適用途
宅地用地
土地権利
所有権
土地面積
1101.16m² (333.1坪)
建ぺい率
60%
容積率
200%
接道状況
北側/公道
間口
48m
道路幅員
北側/3.1m

上水野の売地です

本物件は、でこぼこしていたり、崖がある為、この価格で提供しております。気になる方は、現地をご確認ください。
◆不動産のことなら安心と信頼のトリトン住宅販売にお任せくださいませ

ページトップへ

トリトン代表の加藤です。
お客様の「安心の不動産探し」を応援できるよう一生懸命頑張っています。 私と一緒に色々な物件を見学しましょう!
トリトン住宅販売店長加藤 汗だく社長のブログ

LINE@でお得な情報

  • お友だち追加でお得な情報をお送り致します。ぜひご登録くださいね。